Bản in     Gởi bài viết  
Thông báo đấu giá quyền sử dụng đất ở đối với 05 thửa đất tại xã Nam Trạch, huyện Bố Trạch, tỉnh Quảng Bình. 
1. Tổ chức đấu giá tài sản: Trung tâm Dịch vụ đấu giá tài sản tỉnh Quảng Bình. Địa chỉ: Số 52, đường Nguyễn Hữu Cảnh, thành phố Đồng Hới, tỉnh Quảng Bình.
2. Tổ chức có quyền đưa tài sản ra đấu giá: Ban quản lý dự án Đầu tư xây dựng và Phát triển quỹ đất huyện Bố Trạch. Địa chỉ: Đường Nguyễn Tất Thành, tiểu khu 3, thị trấn Hoàn Lão, huyện Bố Trạch, tỉnh Quảng Bình.
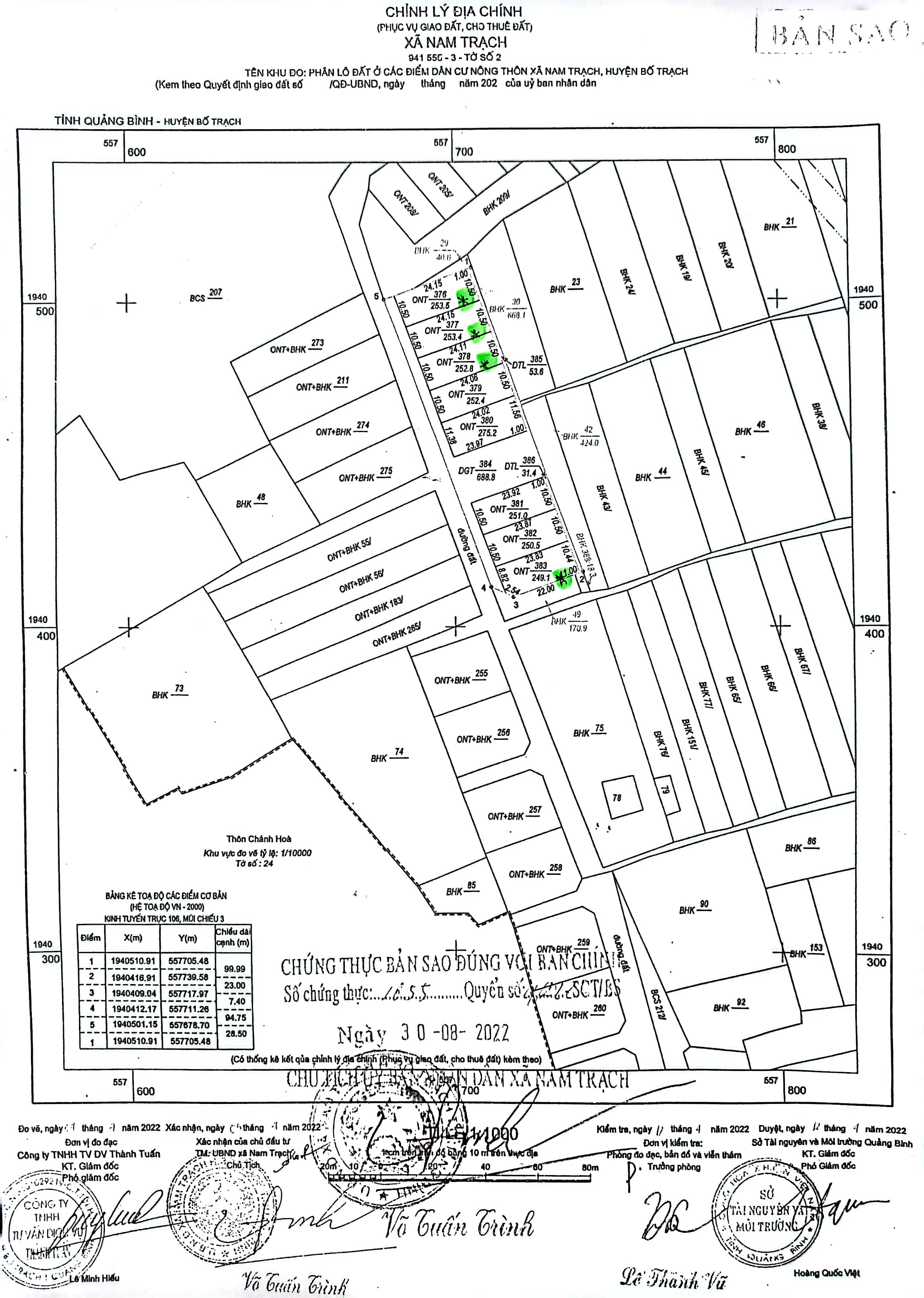
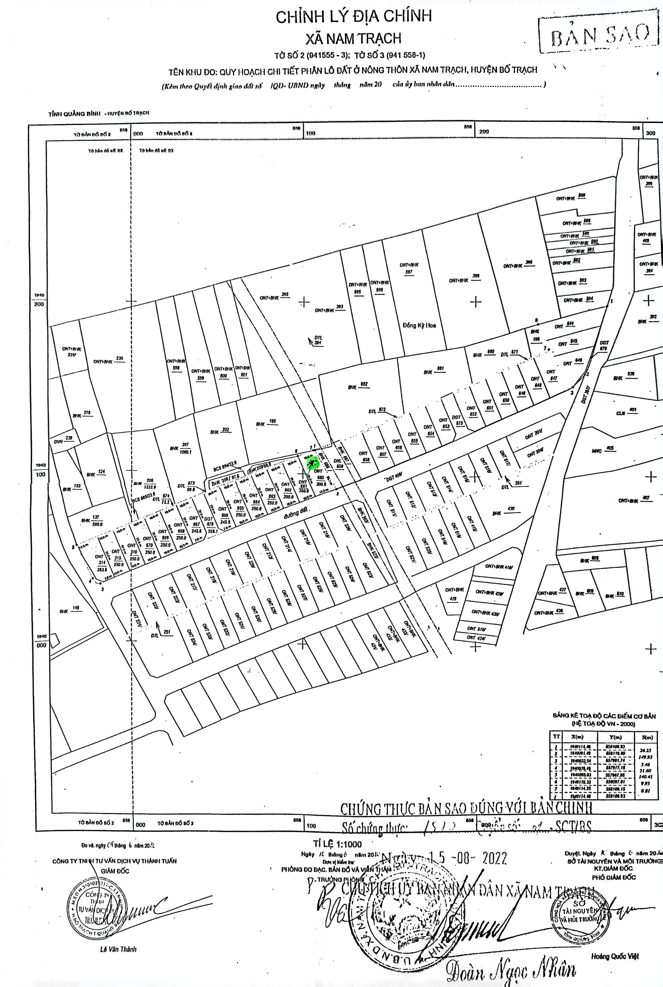
3. Tài sản đấu giá: Quyền sử dụng đất ở đối với 05 thửa đất tại xã Nam Trạch, huyện Bố Trạch, tỉnh Quảng Bình; Diện tích từ 249,1m2/thửa đến 300,5m2/thửa; Giá khởi điểm từ 601.000.000 đồng/thửa đến 653.000.000 đồng/thửa.
Diện tích đất, vị trí, giá khởi điểm của từng thửa đất và các thông tin liên quan được niêm yết tại trụ sở Trung tâm Dịch vụ đấu giá tài sản tỉnh Quảng Bình, Ban quản lý dự án Đầu tư xây dựng và Phát triển quỹ đất huyện Bố Trạch và UBND xã Nam Trạch.
4. Tiền đặt trước: Nộp từ 15% đến 20% trên giá khởi điểm của thửa đất đăng ký.
5. Điều kiện, cách thức đăng ký tham gia đấu giá tài sản:
Hộ gia đình, cá nhân thuộc đối tượng được Nhà nước giao đất có thu tiền sử dụng đất theo quy định của Luật Đất đai, nộp hồ sơ tham gia đấu giá hợp lệ tại trụ sở của Ban quản lý dự án Đầu tư xây dựng và Phát triển quỹ đất huyện Bố Trạch.
6. Thời gian, địa điểm thực hiện các thủ tục đấu giá tài sản:
- Thời gian, địa điểm tham khảo, bán hồ sơ, đăng ký tham gia đấu giá và bỏ phiếu trả giá: Từ ngày 24/5/2023 đến 16h30’ ngày 09/6/2023 tại trụ sở của Ban quản lý dự án Đầu tư xây dựng và Phát triển quỹ đất huyện Bố Trạch.
- Thời gian, địa điểm nộp tiền đặt trước: Từ ngày 07/6/2023 đến 16h30’ ngày 09/6/2023 vào tài khoản của Trung tâm Dịch vụ đấu giá tài sản tỉnh Quảng Bình mở tại Ngân hàng thương mại.
(Các thủ tục trên được thực hiện trong giờ hành chính các ngày làm việc)
- Thời gian, địa điểm buổi công bố kết quả trả giá: Vào lúc 14h00’ ngày 12/6/2023 tại UBND xã Nam Trạch, huyện Bố Trạch, tỉnh Quảng Bình.
Mọi chi tiết xin liên hệ: Tại Trung tâm Dịch vụ đấu giá tài sản, điện thoại: 0232.3856585 (Gặp đ/c Phương); Ban quản lý dự án Đầu tư xây dựng và Phát triển quỹ đất huyện Bố Trạch và UBND xã Nam Trạch./.

PHỤ LỤC 05 THỬA ĐÂT

TT

Khu vực

Thửa đất số

Tờ BĐ số

 Diện tích (m2)

Giá khởi điểm
(đồng)

Tiền mua hồ sơ TGĐG
(đồng)

Tiền đặt trước
(đồng)

 Bước giá
(đồng)

1

Thôn Chánh Hòa

376

2

253,5

612.000.000

500.000

120.000.000

5.000.000

2

Thôn Chánh Hòa

377

2

253,4

612.000.000

500.000

120.000.000

5.000.000

3

Thôn Chánh Hòa

378

2

252,8

610.000.000

500.000

120.000.000

5.000.000

4

Thôn Chánh Hòa

383

2

249,1

601.000.000

500.000

120.000.000

5.000.000

5

Thôn Chánh Hòa

660

3

300,5

653.000.000

500.000

120.000.000

5.000.000

Tổng cộng: 05 thửa

1.309,3

3.088.000.000

2.500.000

600.000.000

 

 

[Trở về]