Bản in     Gởi bài viết  
Thông báo đấu giá quyền sử dụng đất đối với 15 thửa đất ở tại xã Quảng Thanh, huyện Quảng Trạch, tỉnh Quảng Bình. 
1. Tổ chức đấu giá tài sản: Trung tâm Dịch vụ đấu giá tài sản tỉnh Quảng Bình. Địa chỉ: Số 52, đường Nguyễn Hữu Cảnh, thành phố Đồng Hới, tỉnh Quảng Bình.
2. Tổ chức có quyền đưa tài sản ra đấu giá: Trung tâm Phát triển quỹ đất huyện Quảng Trạch, tỉnh Quảng Bình. Địa chỉ: Tầng 2, Trụ sở Chính quyền huyện Quảng Trạch, xã Quảng Phương, huyện Quảng Trạch, tỉnh Quảng Bình.
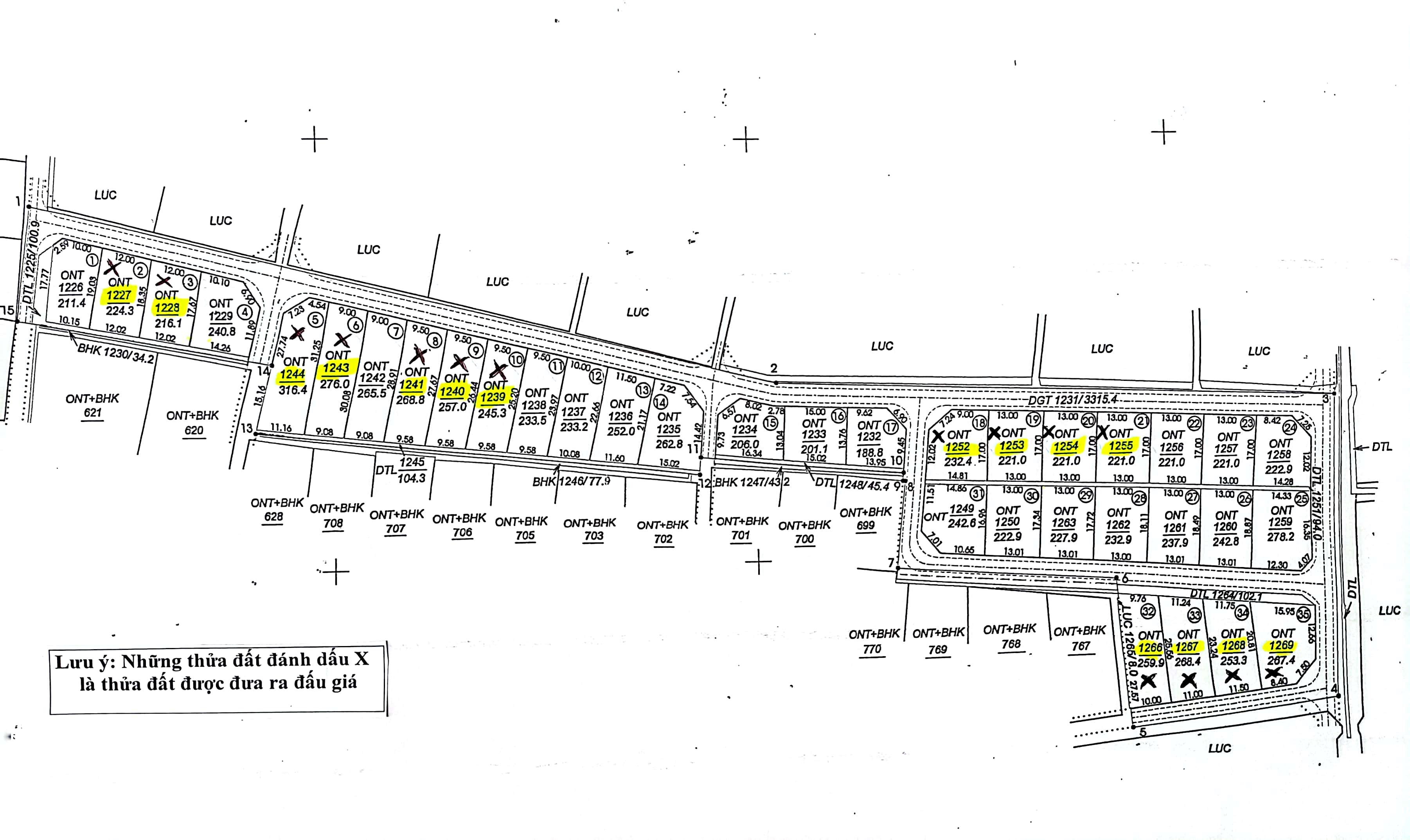
3. Tài sản đấu giá: Quyền sử dụng đất đối với 15 thửa đất ở tại xã Quảng Thanh, huyện Quảng Trạch, tỉnh Quảng Bình; Diện tích từ 216,1m2/thửa đến 316,4m2 /thửa; Giá khởi điểm từ 360.455.000 đồng/thửa đến 564.141.000 đồng/thửa.
(Giá khởi điểm chưa bao gồm các loại thuế, phí, lệ phí và các chi phí khác theo quy định)
4. Tiền mua hồ sơ tham gia đấu giá: Nộp 200.000 đồng hoặc 500.000 đồng, tùy theo từng thửa đất đăng ký.
5. Tiền đặt trước: Nộp 70.000.000 đồng hoặc 100.000.000 đồng, tùy theo từng thửa đất đăng ký.
6. Hình thức đấu giá: Đấu giá bằng hình thức bỏ phiếu gián tiếp 01 lần duy nhất trong thời hạn nộp hồ sơ.
7. Thời gian, địa điểm, điều kiện, cách thức đăng ký tham gia đấu giá: (Thực hiện trong giờ hành chính các ngày làm việc)
- Thời gian, địa điểm bán hồ sơ, đăng ký tham gia đấu giá: Từ 07 giờ 30 phút ngày 12/5/2023 đến 16 giờ 30 phút ngày 30/5/2023 tại trụ sở UBND xã Quảng Thanh, huyện Quảng Trạch, tỉnh Quảng Bình.
- Thời gian nộp tiền đặt trước, bỏ phiếu trả giá: Từ 07 giờ 30 phút ngày 26/5/2023 đến 16 giờ 30 phút ngày 30/5/2023. Tiền đặt trước nộp vào tài khoản của Trung tâm Dịch vụ đấu giá tài sản tỉnh Quảng Bình mở tại ngân hàng thương mại.
- Địa điểm bỏ phiếu trả giá: Tại trụ sở UBND xã Quảng Thanh, huyện Quảng Trạch, tỉnh Quảng Bình.
- Thời gian, địa điểm xem tài sản: Vào ngày 24/5/2023 và ngày 25/5/2023 tại vị trí thửa đất đưa ra đấu giá. (Nếu có nhu cầu, khách hàng liên hệ trước ngày 24/5/2023 để Trung tâm sắp xếp thời gian cụ thể)
- Điều kiện, cách thức đăng ký tham gia đấu giá: Hộ gia đình, cá nhân thuộc đối tượng được Nhà nước giao đất có thu tiền sử dụng đất theo quy định của Luật Đất đai, có nhu cầu sử dụng đất để làm nhà ở theo quy hoạch đã được cơ quan Nhà nước có thẩm quyền phê duyệt, chấp hành tốt pháp luật đất đai thực hiện đăng ký tham gia đấu giá thông qua việc nộp hồ sơ tham gia đấu giá hợp lệ cho Trung tâm Dịch vụ đấu giá tài sản tỉnh Quảng Bình; Không thuộc đối tượng không được đăng ký tham gia đấu giá.
8. Thời gian, địa điểm tổ chức buổi công bố giá đã trả: Vào lúc 08 giờ 00 phút ngày 02/6/2023 tại Hội trường UBND xã Quảng Thanh, huyện Quảng Trạch, tỉnh Quảng Bình.
Thông tin cụ thể được niêm yết tại trụ sở Trung tâm Dịch vụ đấu giá tài sản tỉnh Quảng Bình, trụ sở Trung tâm Phát triển quỹ đất huyện Quảng Trạch, trụ sở UBND xã Quảng Thanh.
Mọi chi tiết xin liên hệ Trung tâm Dịch vụ đấu giá tài sản, Số điện thoại: 0232.3533568 (Gặp đ/c Huyền).

PHỤ LỤC 15 THỬA ĐẤT

TT

Thửa đất
 số

Tờ bản đồ số

Diện tích (m2)

Giá khởi điểm  (đồng)

Tiền đặt trước
(đồng)

Tiền mua hồ sơ
(đồng)

Ghi chú

I. CÁC THỬA ĐẤT HƯỚNG BẮC ĐƯỜNG QUY HOẠCH RỘNG 5,5M

 

1

1227

3

224,3

374.132.000

70.000.000

200.000

 

2

1228

3

216,1

360.455.000

70.000.000

200.000

 

3

1244

3

316,4

564.141.000

100.000.000

500.000

Hai mặt tiền

4

1243

3

276,0

460.368.000

70.000.000

200.000

 

5

1241

3

268,8

448.358.000

70.000.000

200.000

 

6

1240

3

257,0

428.676.000

70.000.000

200.000

 

7

1239

3

245,3

409.160.000

70.000.000

200.000

 

8

1252

3

232,4

427.616.000

70.000.000

200.000

Hai mặt tiền

9

1253

3

221,0

381.225.000

70.000.000

200.000

 

10

1254

3

221,0

381.225.000

70.000.000

200.000

 

11

1255

3

221,0

381.225.000

70.000.000

200.000

 

II. CÁC THỬA ĐẤT HƯỚNG NAM ĐƯỜNG QUY HOẠCH RỘNG 5,5M

 

1

1266

3

259,9

508.105.000

100.000.000

500.000

 

2

1267

3

268,4

524.722.000

100.000.000

500.000

 

3

1268

3

253,3

495.202.000

70.000.000

200.000

 

4

1269

3

267,4

553.518.000

100.000.000

500.000

Hai mặt tiền

TỔNG

3748,3

6.698.128.000 

1.170.000.000 

4.200.000 

 

 

MỘT SỐ HÌNH ẢNH:

[Trở về]