Bản in     Gởi bài viết  
Thông báo đấu giá quyền sử dụng đất đối với 34 thửa đất ở thuộc Dự án: Xây dựng hạ tầng kỹ thuật tạo quỹ đất tại xã Vĩnh Ninh, huyện Quảng Ninh, tỉnh Quảng Bình 
1. Tổ chức đấu giá tài sản: Trung tâm Dịch vụ đấu giá tài sản tỉnh Quảng Bình. Địa chỉ: Số 52, đường Nguyễn Hữu Cảnh, thành phố Đồng Hới, tỉnh Quảng Bình.
2. Người có tài sản đấu giá: Ban quản lý dự án Đầu tư xây dựng và Phát triển quỹ đất huyện Quảng Ninh, tỉnh Quảng Bình. Địa chỉ: Số 127, đường Nguyễn Hữu Cảnh, thị trấn Quán Hàu, huyện Quảng Ninh, tỉnh Quảng Bình.
3. Tài sản đấu giá:
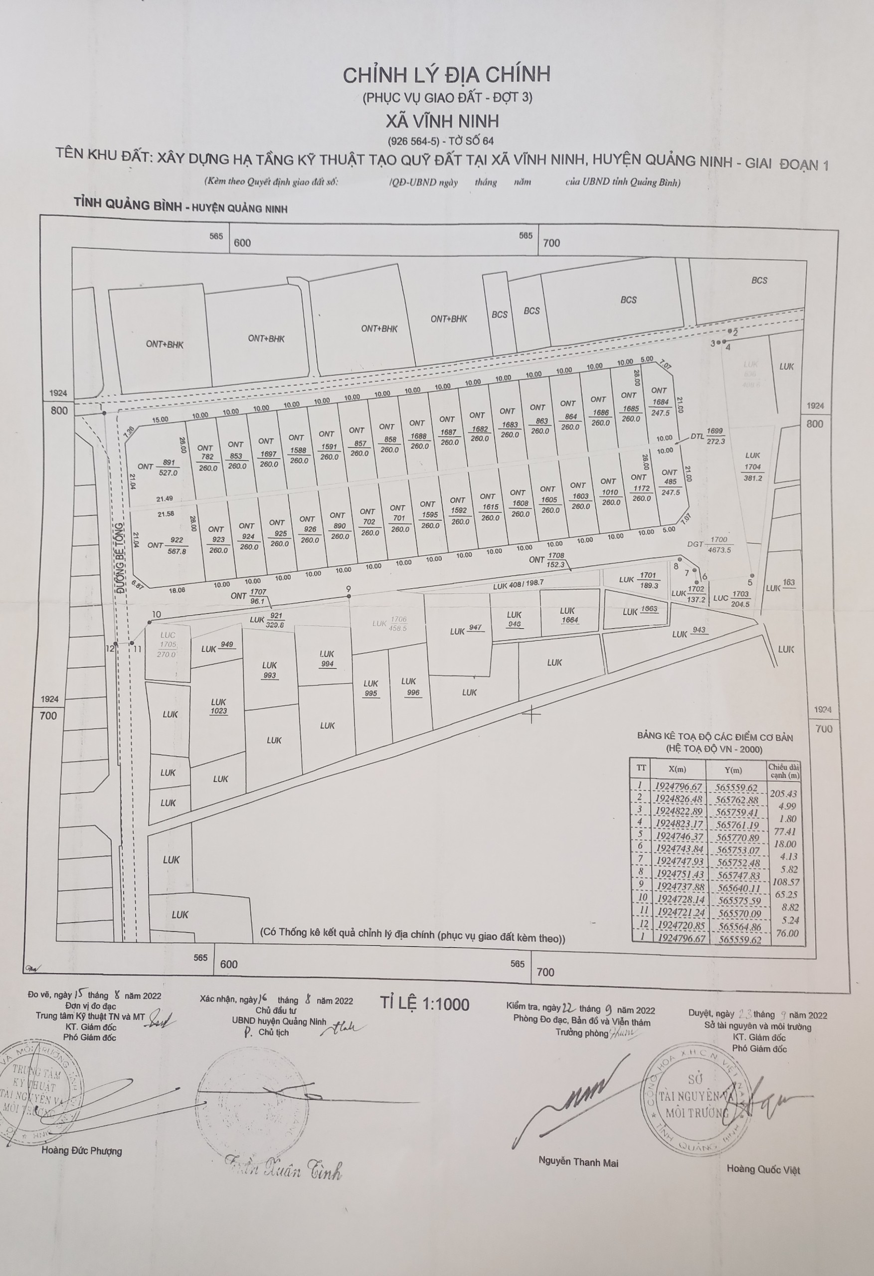
Quyền sử dụng đất đối với 34 thửa đất ở thuộc Dự án: Xây dựng hạ tầng kỹ thuật tạo quỹ đất tại xã Vĩnh Ninh, huyện Quảng Ninh, tỉnh Quảng Bình. Diện tích từ 247,5 m²/thửa đến 567,8 m²/thửa. Giá khởi điểm từ 754.000.000 đồng/thửa đến 1.975.944.000 đồng/thửa.
Mục đích sử dụng đất sau khi đấu giá quyền sử dụng đất: Đất ở tại nông thôn. Thời hạn sử dụng: Lâu dài. Hình thức giao đất: Nhà nước giao đất có thu tiền sử dụng đất.
Giá khởi điểm các thửa đất đưa ra đấu giá chưa bao gồm lệ phí trước bạ, phí, lệ phí và các chi phí khác phục vụ cho việc kê khai đăng ký quyền sử dụng và cấp giấy chứng nhận quyền sử dụng đất theo quy định hiện hành của Nhà nước.
Khách hàng đăng ký tham gia đấu giá phải chấp nhận tình trạng cơ sở hạ tầng hiện có.
4. Tiền đặt trước: 20% trên giá khởi điểm của từng thửa đất đăng ký đấu giá.
5. Điều kiện, cách thức đăng ký tham gia đấu giá tài sản:
Hộ gia đình, cá nhân thuộc đối tượng được Nhà nước giao đất có thu tiền sử dụng đất, chấp hành tốt pháp luật đất đai, thực hiện nghiêm túc theo quy định của pháp luật và phương án đấu giá đã được cấp có thẩm quyền phê duyệt, trực tiếp nộp hồ sơ tham gia đấu giá hợp lệ cho Trung tâm Dịch vụ đấu giá tài sản tỉnh Quảng Bình tại trụ sở Ban quản lý dự án Đầu tư xây dựng và Phát triển quỹ đất huyện Quảng Ninh.
6. Thời gian, địa điểm thực hiện các thủ tục đấu giá:
- Thời gian tham khảo, bán hồ sơ, tiếp nhận hồ sơ, đăng ký tham gia đấu giá: Từ ngày 01/6/2023 đến 16h30/ ngày 23/6/2023.
- Thời gian nộp tiền đặt trước vào tài khoản của Trung tâm, bỏ phiếu trả giá: Từ ngày 21/6/2023 đến 16h30/ ngày 23/6/2023.
- Địa điểm tham khảo, bán hồ sơ tham gia đấu giá: Tại trụ sở Ban quản lý dự án Đầu tư xây dựng và Phát triển quỹ đất huyện Quảng Ninh và tại trụ sở Trung tâm Dịch vụ đấu giá tài sản tỉnh Quảng Bình.
- Địa điểm tiếp nhận hồ sơ, đăng ký tham gia đấu giá, bỏ phiếu trả giá: Tại trụ sở Ban quản lý dự án Đầu tư xây dựng và Phát triển quỹ đất huyện Quảng Ninh.
- Thời gian, địa điểm tổ chức buổi công bố giá đã trả: Vào lúc 14h00/ ngày 26/6/2023 tại hội trường UBND xã Vĩnh Ninh, huyện Quảng Ninh, tỉnh Quảng Bình.
Các thủ tục trên được thực hiện trong giờ hành chính các ngày làm việc.
Mọi chi tiết xin liên hệ: Trung tâm Dịch vụ đấu giá tài sản tỉnh Quảng Bình, điện thoại: 0232.3856585 (Gặp đ/c Nhài).

PHỤ LỤC 34 THỬA ĐẤT

TT

Thửa đất số

Tờ BĐĐC
số

 Diện
tích
(m2)

Giá khởi điểm
(đồng)

Tiền đặt trước
(đồng)

Tiền mua
hồ sơ
TGĐG
(đồng)

Ghi chú

I. Các thửa đất ở đường quy hoạch rộng 15 m, hướng Tây Bắc

1

891

64

527,0

1.897.200.000

379.440.000

500.000

 2 mặt tiền

2

782

64

260,0

780.000.000

156.000.000

500.000

 

3

853

64

260,0

780.000.000

156.000.000

500.000

 

4

1697

64

260,0

780.000.000

156.000.000

500.000

 

5

1588

64

260,0

780.000.000

156.000.000

500.000

 

6

1591

64

260,0

780.000.000

156.000.000

500.000

 

7

857

64

260,0

780.000.000

156.000.000

500.000

 

8

858

64

260,0

780.000.000

156.000.000

500.000

 

9

1688

64

260,0

780.000.000

156.000.000

500.000

 

10

1687

64

260,0

780.000.000

156.000.000

500.000

 

11

1682

64

260,0

780.000.000

156.000.000

500.000

 

12

1683

64

260,0

780.000.000

156.000.000

500.000

 

13

863

64

260,0

780.000.000

156.000.000

500.000

 

14

864

64

260,0

780.000.000

156.000.000

500.000

 

15

1686

64

260,0

780.000.000

156.000.000

500.000

 

16

1685

64

260,0

780.000.000

156.000.000

500.000

 

17

1684

64

247,5

891.000.000

178.200.000

500.000

 2 mặt tiền

II. Các thửa đất ở đường quy hoạch rộng 10,5 m, hướng Đông Nam

1

922

64

567,8

1.975.944.000

395.188.800

500.000

 2 mặt tiền

2

923

64

260,0

754.000.000

150.800.000

500.000

 

3

924

64

260,0

754.000.000

150.800.000

500.000

 

4

925

64

260,0

754.000.000

150.800.000

500.000

 

5

926

64

260,0

754.000.000

150.800.000

500.000

 

6

890

64

260,0

754.000.000

150.800.000

500.000

 

7

702

64

260,0

754.000.000

150.800.000

500.000

 

8

701

64

260,0

754.000.000

150.800.000

500.000

 

9

1595

64

260,0

754.000.000

150.800.000

500.000

 

10

1592

64

260,0

754.000.000

150.800.000

500.000

 

11

1615

64

260,0

754.000.000

150.800.000

500.000

 

12

1608

64

260,0

754.000.000

150.800.000

500.000

 

13

1605

64

260,0

754.000.000

150.800.000

500.000

 

14

1603

64

260,0

754.000.000

150.800.000

500.000

 

15

1010

64

260,0

754.000.000

150.800.000

500.000

 

16

1172

64

260,0

754.000.000

150.800.000

500.000

 

17

485

64

247,5

861.300.000

172.260.000

500.000

 2 mặt tiền

Tổng: 34 thửa đất

9.389,8

28.635.444.000

 

 

 

 

[Trở về]