Bản in     Gởi bài viết  
Thông báo đấu giá quyền sử dụng đất ở đối với 15 thửa đất tại xã Nam Trạch, huyện Bố Trạch, tỉnh Quảng Bình. 
1. Tổ chức đấu giá tài sản: Trung tâm Dịch vụ đấu giá tài sản tỉnh Quảng Bình. Địa chỉ: Số 52, đường Nguyễn Hữu Cảnh, thành phố Đồng Hới, tỉnh Quảng Bình.
2. Tổ chức có quyền đưa tài sản ra đấu giá: Ban quản lý dự án Đầu tư xây dựng và Phát triển quỹ đất huyện Bố Trạch. Địa chỉ: Đường Nguyễn Tất Thành, tiểu khu 3, thị trấn Hoàn Lão, huyện Bố Trạch, tỉnh Quảng Bình.
3. Tài sản đấu giá: Quyền sử dụng đất ở đối với 15 thửa đất tại xã Nam Trạch, huyện Bố Trạch, tỉnh Quảng Bình; Diện tích từ 244,6m2/thửa đến 316,8m2/thửa; Giá khởi điểm từ 316.000.000 đồng/thửa đến 1.044.000.000 đồng/thửa.
Diện tích đất, vị trí, giá khởi điểm của từng thửa đất và các thông tin liên quan được niêm yết tại trụ sở Trung tâm Dịch vụ đấu giá tài sản tỉnh Quảng Bình, Ban quản lý dự án Đầu tư xây dựng và Phát triển quỹ đất huyện Bố Trạch và UBND xã Nam Trạch.
4. Tiền đặt trước: Nộp từ 15% đến 20% trên giá khởi điểm của thửa đất đăng ký.
5. Điều kiện, cách thức đăng ký tham gia đấu giá tài sản:
Hộ gia đình, cá nhân thuộc đối tượng được Nhà nước giao đất có thu tiền sử dụng đất theo quy định của Luật Đất đai, nộp hồ sơ tham gia đấu giá hợp lệ tại trụ sở của Ban quản lý dự án Đầu tư xây dựng và Phát triển quỹ đất huyện Bố Trạch.
6. Thời gian, địa điểm thực hiện các thủ tục đấu giá tài sản:
- Thời gian, địa điểm tham khảo, bán hồ sơ, đăng ký tham gia đấu giá và bỏ phiếu trả giá: Từ ngày 30/9/2022 đến 16h30’ ngày 18/10/2022 tại trụ sở của Ban quản lý dự án Đầu tư xây dựng và Phát triển quỹ đất huyện Bố Trạch.
- Thời gian, địa điểm nộp tiền đặt trước: Từ ngày 14/10/2022 đến 16h30’ ngày 18/10/2022 vào tài khoản của Trung tâm Dịch vụ đấu giá tài sản tỉnh Quảng Bình mở tại Ngân hàng thương mại.
(Các thủ tục trên được thực hiện trong giờ hành chính các ngày làm việc)
- Thời gian, địa điểm buổi công bố kết quả trả giá: Vào lúc 08h00’ ngày 21/10/2022 tại UBND xã Nam Trạch, huyện Bố Trạch, tỉnh Quảng Bình.
Lưu ý: Người đăng ký tham gia đấu giá, tham gia buổi công bố giá phải tuyệt đối chấp hành các biện pháp phòng chống dịch Covid-19 theo quy định.
Mọi chi tiết xin liên hệ: Tại Trung tâm Dịch vụ đấu giá tài sản, điện thoại: 0232.3856585 (Gặp đ/c Phương); Ban quản lý dự án Đầu tư xây dựng và Phát triển quỹ đất huyện Bố Trạch và UBND xã Nam Trạch./.

PHỤ LỤC 15 THỬA ĐẤT

TT

Khu vực

Thửa đất số

Tờ BĐ số

 Diện tích (m2)

Giá khởi điểm
(đồng)

Tiền mua hồ sơ TGĐG
(đồng)

Tiền đặt trước
(đồng)

 Bước giá
(đồng)

1

Thôn Chánh Hòa

376

2

253.5

612.000.000

500.000

120.000.000

5.000.000

2

"

377

2

253.4

612.000.000

500.000

120.000.000

5.000.000

3

"

378

2

252.8

610.000.000

500.000

120.000.000

5.000.000

4

"

379

2

252.4

609.000.000

500.000

120.000.000

5.000.000

5

"

380

2

275.2

664.000.000

500.000

120.000.000

5.000.000

6

"

381

2

251.0

606.000.000

500.000

120.000.000

5.000.000

7

"

382

2

250.5

605.000.000

500.000

120.000.000

5.000.000

8

"

383

2

249.1

601.000.000

500.000

120.000.000

5.000.000

9

"

765

3

302.5

1.044.000.000

500.000

180.000.000

10.000.000

10

"

766

3

272.0

939.000.000

500.000

180.000.000

5.000.000

11

"

767

3

244.6

929.000.000

500.000

180.000.000

5.000.000

12

"

768

3

298.9

722.000.000

500.000

120.000.000

5.000.000

13

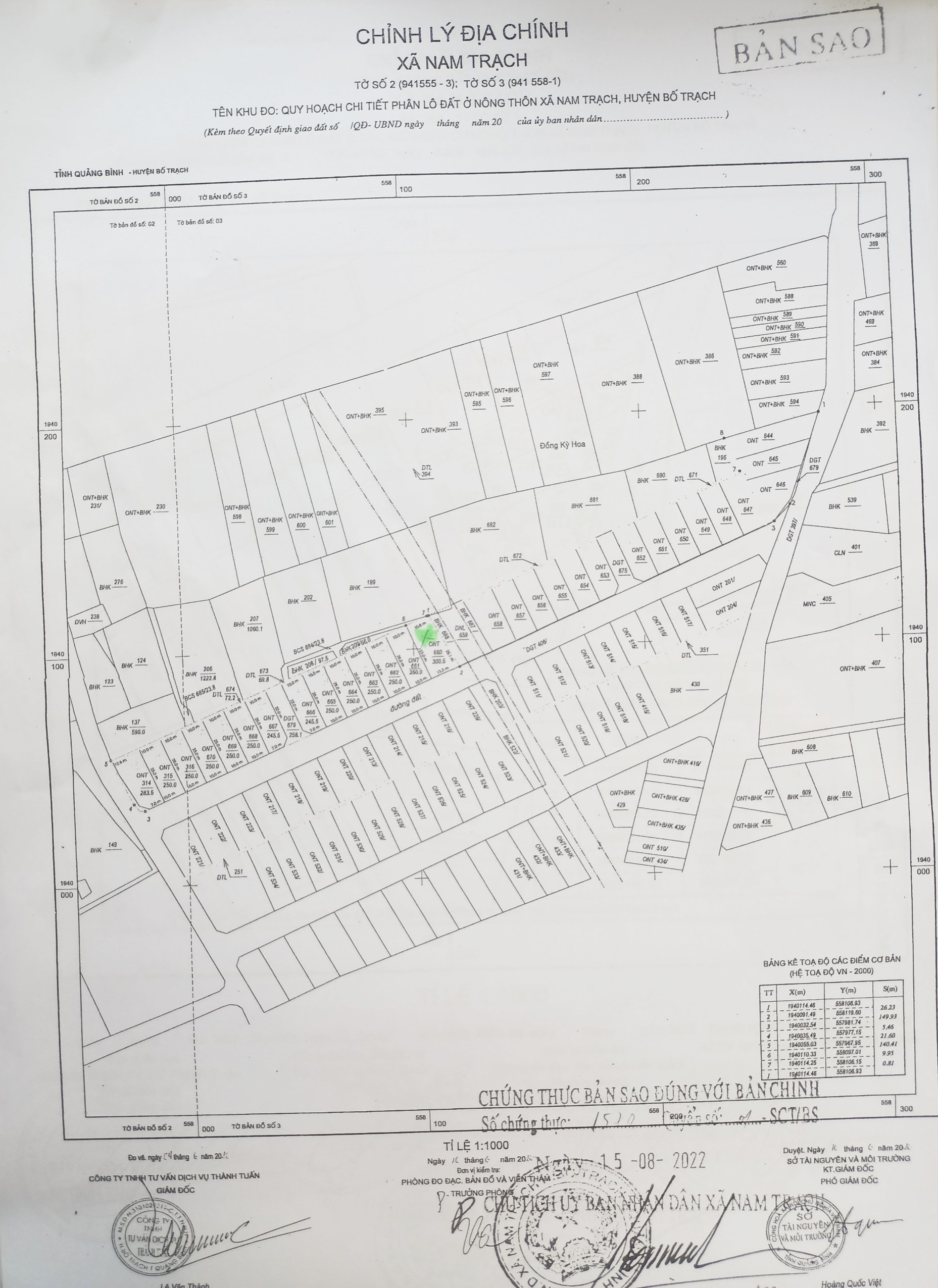
Thôn Sao Sa

389

17

299.9

731.000.000

500.000

120.000.000

5.000.000

14

Thôn Chánh Hòa

660

3

300.5

653.000.000

500.000

120.000.000

5.000.000

15

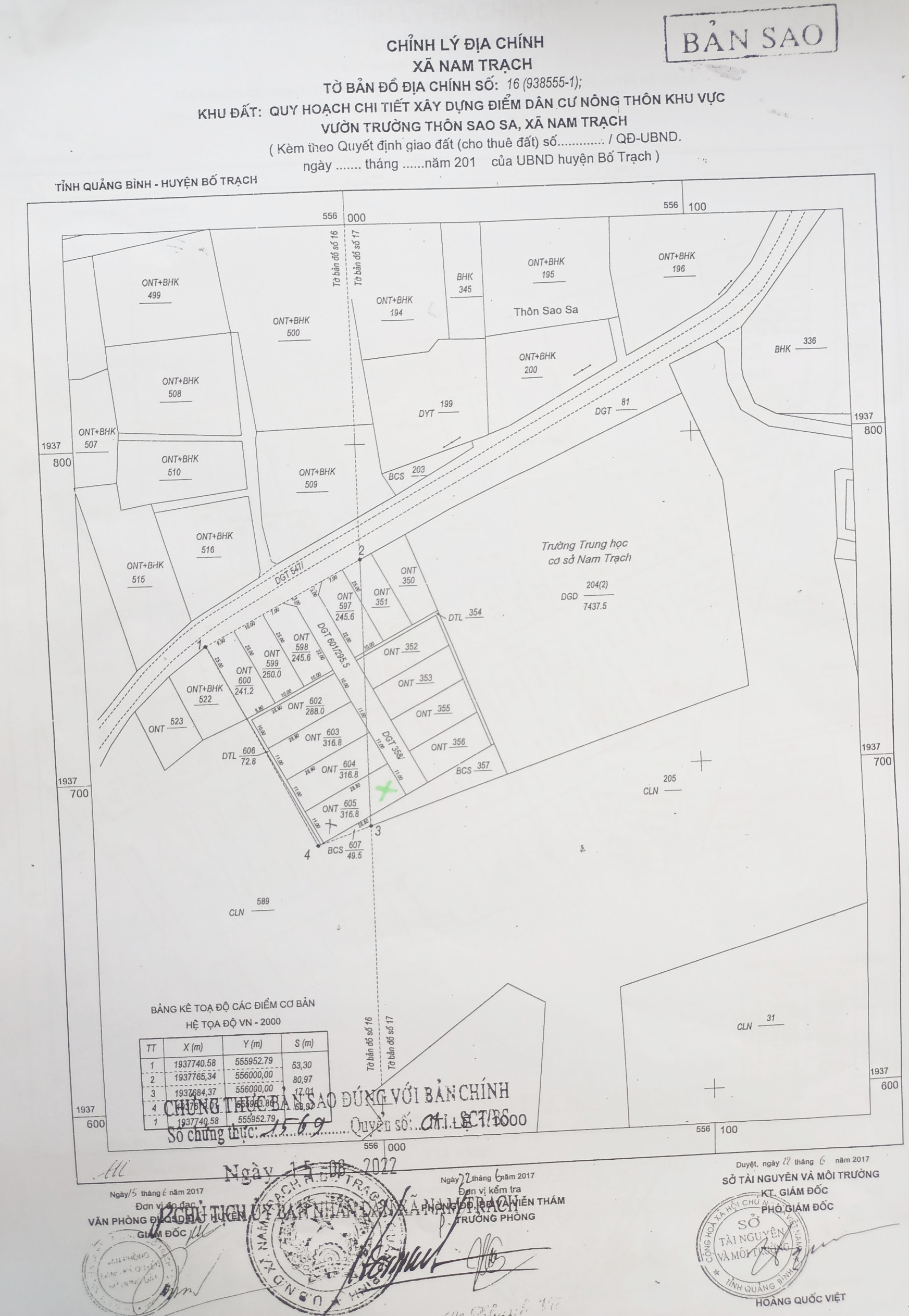
Thôn Sao Sa

605

16

316.8

316.000.000

200.000

60.000.000

3.000.000

Tổng cộng: 15 thửa

      4,073.1

10.253.000.000

7.200.000

1.920.000.000

 

1. THỬA ĐẤT 767 ĐẾN THỬA 383: Định vị tại đây

2. THỬA ĐẤT 765 ĐẾN THỬA 768: Định vị tại đây

3. THỬA ĐẤT 389: Định vị tại đây

4. THỬA ĐẤT 660:

5. THỬA ĐẤT 605: Định vị tại đây

[Trở về]