|
Giới thiệu
Tin tức - Sự kiện
QUY HOẠCH - KẾ HOẠCH
Đấu thầu Mua săm công
HƯỚNG DẪN - THỦ TỤC
|
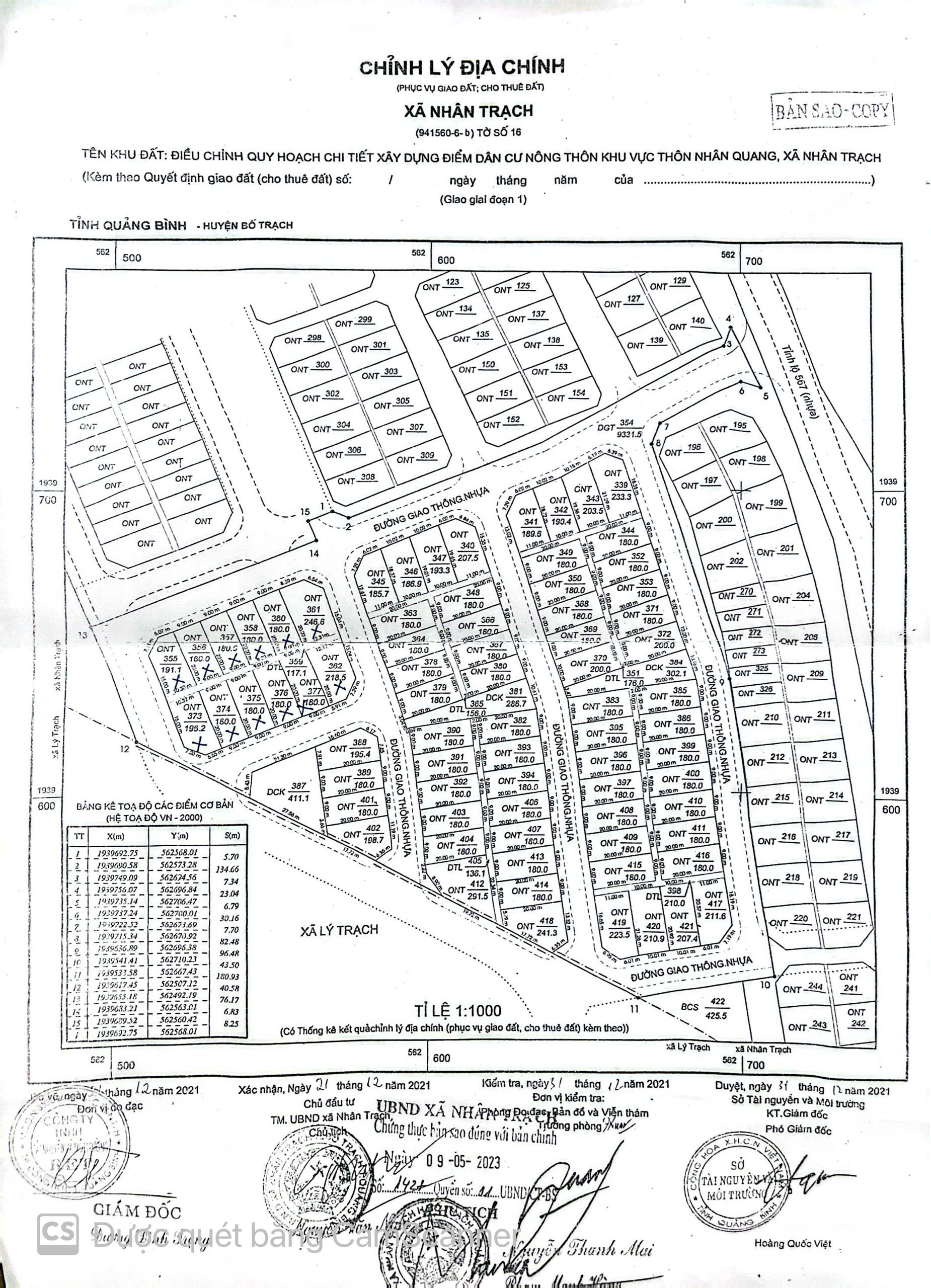
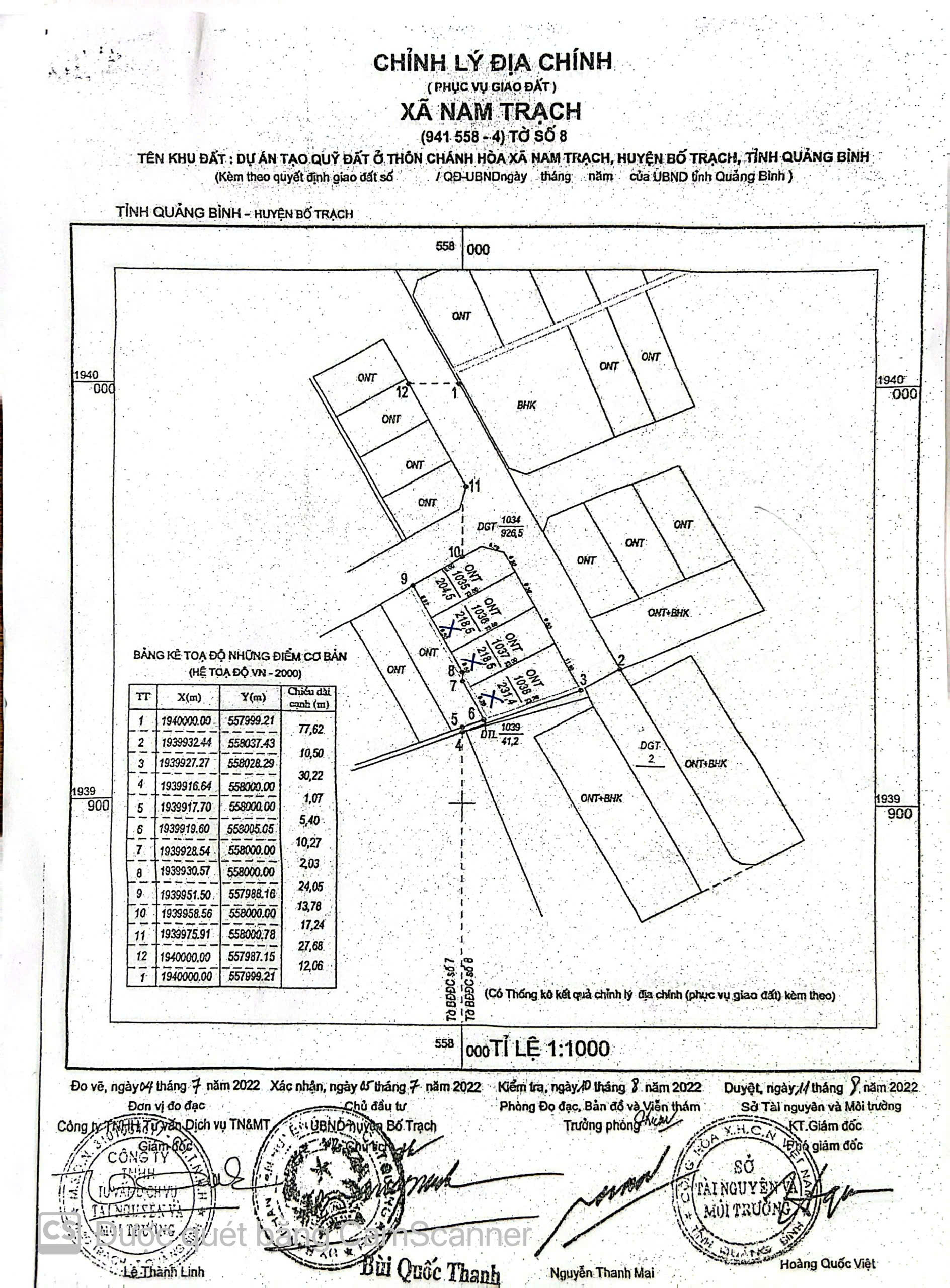
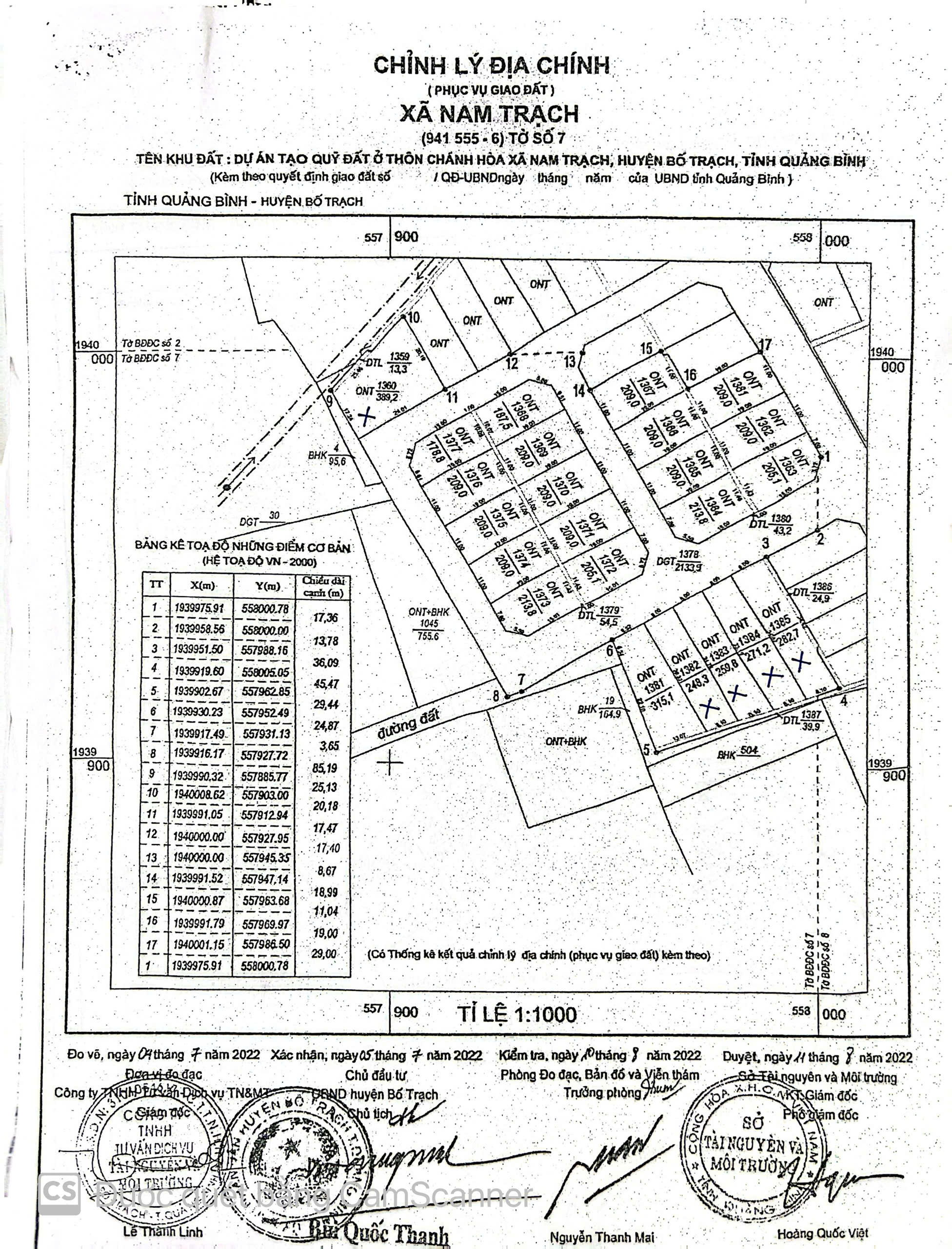
Thông báo đấu giá quyền sử dụng đất đối với 25 thửa đất gồm: QSD 12 thửa đất ở tại Dự án xây dựng hạ tầng phát triển quỹ đất khu vực thôn Nhân Quang và 13 thửa đất ở tại Dự án tạo quỹ đất ở khu vực thôn Chánh Hòa, xã Nam Trạch , tỉnh Quảng Trị.
1. Tổ chức hành nghề đấu giá tài sản: Trung tâm Dịch vụ đấu giá tài sản tỉnh Quảng Trị. Địa chỉ: Số 52, đường Nguyễn Hữu Cảnh, phường Đồng Hới, tỉnh Quảng Trị.
2. Người có tài sản đấu giá: Ban quản lý dự án Đầu tư xây dựng và Phát triển quỹ đất Bố Trạch. Địa chỉ: Đường Nguyễn Tất Thành, tiểu khu 3, xã Hoàn Lão, tỉnh Quảng Trị. 3. Tài sản đấu giá: Quyền sử dụng đất đối với 25 thửa đất gồm: QSD 12 thửa đất ở tại Dự án xây dựng hạ tầng phát triển quỹ đất khu vực thôn Nhân Quang và 13 thửa đất ở tại Dự án tạo quỹ đất ở khu vực thôn Chánh Hòa, xã Nam Trạch , tỉnh Quảng Trị. - Tổng diện tích: 5.655,5m2; Diện tích từ 180,0m2/thửa đến 389,2m2 /thửa; - Tổng giá khởi điểm: 26.666.984.000 đồng; Giá khởi điểm từ 305.917.000 đồng/thửa đến 2.367.360.000 đồng/thửa. - Mục đích sử dụng đất: Đất ở tại nông thôn (ONT); Hình thức giao đất: Nhà nước giao đất có thu tiền sử dụng đất thông qua hình thức đấu giá quyền sử dụng đất; Thời hạn sử dụng đất: Lâu dài. (Giá khởi điểm chưa bao gồm lệ phí trước bạ, phí, lệ phí và các chi phí khác phục vụ cho việc kê khai đăng ký quyền sử dụng và cấp giấy chứng nhận quyền sử dụng đất theo quy định của pháp luật) Diện tích đất, vị trí, giá khởi điểm của từng thửa đất và các thông tin liên quan được niêm yết tại trụ sở Trung tâm Dịch vụ đấu giá tài sản tỉnh Quảng Trị, Ban quản lý dự án Đầu tư xây dựng và Phát triển quỹ đất Bố Trạch và UBND xã Nam Trạch. 4. Tiền đặt trước: Từ 15% đến 20% giá khởi điểm của thửa đất đăng ký, tùy theo từng thửa đất. 5. Đối tượng, điều kiện, cách thức đăng ký tham gia đấu giá tài sản: Cá nhân thuộc đối tượng được Nhà nước giao đất có thu tiền sử dụng đất có nhu cầu sử dụng đất để làm nhà ở theo quy định của Luật đất đai, pháp luật về đấu giá tài sản, Không thuộc các đối tượng không được đăng ký tham gia đấu giá; Hoàn thiện đầy đủ các thủ tục về hồ sơ và nộp tiền đặt trước, tiền mua hồ sơ mời tham gia đấu giá; Trực tiếp nộp hồ sơ đăng ký tham gia đấu giá hợp lệ cho Trung tâm Dịch vụ đấu giá tài sản tỉnh Quảng Trị trong thời gian quy định. 6. Thời gian, địa điểm thực hiện các thủ tục đấu giá tài sản: a. Thời gian, địa điểm bán hồ sơ mời tham gia đấu giá, tiếp nhận hồ sơ tham gia đấu giá, đăng ký tham gia đấu giá, bỏ phiếu trả giá: - Tại trụ sở Trung tâm Dịch vụ đấu giá tài sản tỉnh Quảng Trị: Từ 07 giờ 30 phút ngày 11/9/2025 đến 16 giờ 30 phút ngày 29/9/2025. - Tại Ban quản lý dự án Đầu tư xây dựng và Phát triển quỹ đất Bố Trạch: Từ 07 giờ 30 phút ngày 25/9/2025 đến 16 giờ 30 phút ngày 29/9/2025. b. Thời gian, địa điểm nộp tiền đặt trước: Từ 07 giờ 30 phút ngày 11/9/2025 đến 16 giờ 30 phút ngày 29/9/2025, tiền đặt trước được nộp vào tài khoản của Trung tâm Dịch vụ đấu giá tài sản tỉnh Quảng Trị mở tại Ngân hàng thương mại. c. Thời gian, địa điểm xem tài sản: Từ ngày 22/9/2025 đến ngày 24/9/2025 tại vị trí thửa đất đưa ra đấu giá. Liên hệ Trung tâm Dịch vụ đấu giá tài sản để sắp xếp, bố trí thời gian cụ thể đi xem tài sản. d. Thời gian, địa điểm tổ chức buổi công bố giá đã trả: Vào lúc 14 giờ 30 phút ngày 02/10/2025 tại trụ sở UBND xã Nam Trạch. (Các thủ tục trên được thực hiện trong giờ hành chính các ngày làm việc). Mọi chi tiết xin liên hệ: Tại Trung tâm Dịch vụ đấu giá tài sản tỉnh Quảng Trị, điện thoại: 0232.3827779 (Gặp đ/c Nhàn); Ban quản lý dự án Đầu tư xây dựng và Phát triển quỹ đất Bố Trạch và UBND xã Nam Trạch. PHỤ LỤC: Xem tại đây ĐỊNH VỊ: Thôn Nhân Quang: Xem tại đây Thôn Chánh Hòa: Xem tại đây BẢN ĐỒ:
Các tin đã đăng
|