|
Giới thiệu
Tin tức - Sự kiện
QUY HOẠCH - KẾ HOẠCH
Đấu thầu Mua săm công
HƯỚNG DẪN - THỦ TỤC
|
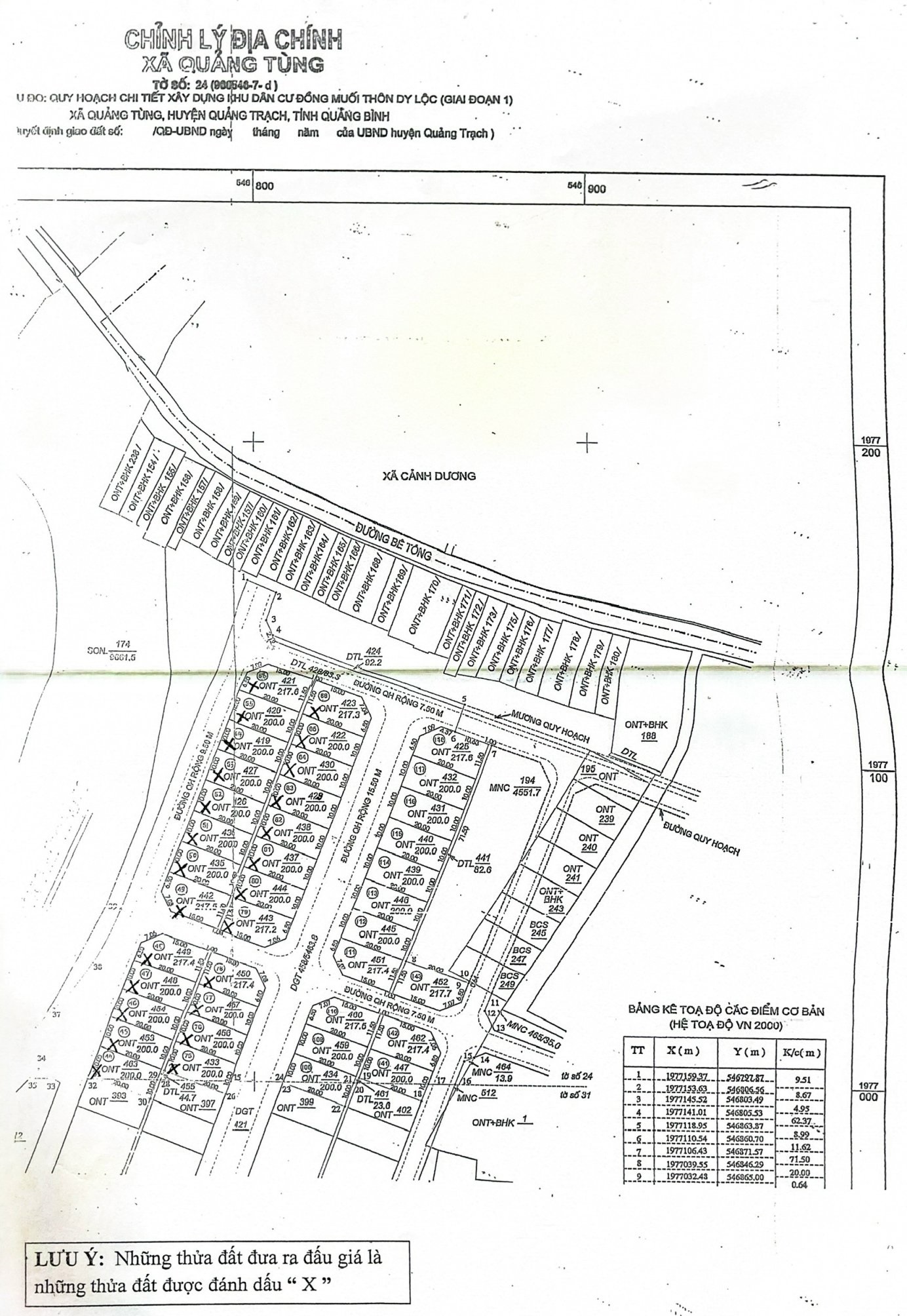
Thông báo đấu giá quyền sử dụng đất đối với 83 thửa đất ở tại khu dân cư Đồng Muối, thôn Di Lộc, xã Quảng Tùng, huyện Quảng Trạch, tỉnh Quảng Bình (nay là xã Hòa Trạch, tỉnh Quảng Trị).
1. Tổ chức hành nghề đấu giá tài sản: Trung tâm Dịch vụ đấu giá tài sản tỉnh Quảng Trị. Địa chỉ: Số 52, đường Nguyễn Hữu Cảnh, phường Đồng Hới, tỉnh Quảng Trị.
2. Người có tài sản đấu giá: Trung tâm Phát triển quỹ đất Quảng Trạch. Địa chỉ: Tầng 2, trụ sở UBND xã Quảng Trạch, tỉnh Quảng Trị. 3. Tài sản đấu giá: Quyền sử dụng đất đối với 83 thửa đất ở tại khu dân cư Đồng Muối, thôn Di Lộc, xã Quảng Tùng, huyện Quảng Trạch, tỉnh Quảng Bình (nay là xã Hòa Trạch, tỉnh Quảng Trị). - Tổng diện tích: 16.828,1m2; Diện tích từ 200,0m2/thửa đến 217,8m2 /thửa; - Tổng giá khởi điểm: 64.032.928.000; Giá khởi điểm từ 700.000.000 đồng/thửa đến 1.045.440.000 đồng/thửa. - Tiền đặt trước: Từ 15% đến 20% giá khởi điểm của thửa đất đăng ký, tùy theo từng thửa đất. - Mục đích sử dụng đất: Đất ở tại nông thôn (ONT); Hình thức giao đất: Đấu giá quyền sử dụng đất để giao đất có thu tiền sử dụng đất; Thời hạn sử dụng đất: Lâu dài. (Giá khởi điểm chưa bao gồm lệ phí trước bạ, phí, lệ phí và các chi phí khác phục vụ cho việc kê khai đăng ký quyền sử dụng và cấp giấy chứng nhận quyền sử dụng đất theo quy định của pháp luật) 4. Đối tượng, điều kiện, cách thức đăng ký tham gia đấu giá tài sản: Cá nhân thuộc đối tượng được Nhà nước giao đất có thu tiền sử dụng đất theo quy định của Luật Đất đai có nhu cầu sử dụng đất để làm nhà ở theo quy hoạch đã được cơ quan nhà nước có thẩm quyền phê duyệt, chấp hành tốt pháp luật về đất đai, pháp luật về đấu giá tài sản; Không thuộc các đối tượng không được đăng ký tham gia đấu giá; Hoàn thiện đầy đủ các thủ tục về hồ sơ và nộp tiền đặt trước, tiền mua hồ sơ tham gia đấu giá; Trực tiếp nộp hồ sơ đăng ký tham gia đấu giá hợp lệ cho Trung tâm Dịch vụ đấu giá tài sản tỉnh Quảng Trị trong thời gian quy định. 5. Thời gian, địa điểm thực hiện các thủ tục đấu giá tài sản: - Thời gian, địa điểm bán hồ sơ mời tham gia đấu giá, tiếp nhận hồ sơ tham gia đấu giá, đăng ký tham gia đấu giá, bỏ phiếu trả giá (Trong giờ hành chính các ngày làm việc): + Tại trụ sở Trung tâm Dịch vụ đấu giá tài sản tỉnh Quảng Trị: Từ 07 giờ 30 phút ngày 25/7/2025 đến 16 giờ 30 phút ngày 12/8/2025. + Tại Nhà văn hóa thôn Phúc Kiều, xã Hòa Trạch, tỉnh Quảng Trị: Từ 07 giờ 30 phút ngày 08/8/2025 đến 16 giờ 30 phút ngày 12/8/2025. - Thời gian, địa điểm nộp tiền đặt trước: Từ 07 giờ 30 phút ngày 25/7/2025 đến 16 giờ 30 phút ngày 12/8/2025, tiền đặt trước được nộp vào tài khoản của Trung tâm Dịch vụ đấu giá tài sản tỉnh Quảng Trị mở tại Ngân hàng thương mại. - Thời gian, địa điểm xem tài sản: Từ ngày 05/8/2025 đến ngày 07/8/2025 tại vị trí thửa đất đưa ra đấu giá. Liên hệ Trung tâm Dịch vụ đấu giá tài sản để sắp xếp, bố trí thời gian cụ thể đi xem tài sản. 6. Thời gian, địa điểm tổ chức buổi công bố giá: Vào lúc 08 giờ 30 phút ngày 15/8/2025 tại Nhà văn hóa thôn Phúc Kiều, xã Hòa Trạch, tỉnh Quảng Trị. Mọi chi tiết xin liên hệ Trung tâm Dịch vụ đấu giá tài sản tỉnh Quảng Trị, Số điện thoại: 0232.3533568 (Gặp đ/c Huyền); Website: https://daugia.quangtri.gov.vn; Trung tâm Phát triển quỹ đất Quảng Trạch./. PHỤ LỤC: Xem tại đây ĐỊNH VỊ: Xem tại đây BẢN ĐỒ:
Các tin đã đăng
|